📋 Wprowadzenie
Diabrotica barberi oraz D. virgifera zeae są chrząszczami z rodziny stonkowatych, stanowiącymi agrofagi podlegające obowiązkowi zwalczania w Unii Europejskiej.
📋 Zasięg występowania
Diabrotica barberi oraz D. virgifera zeae występują w Kanadzie i USA, a D. virgifera zeae ponadto w Meksyku i Ameryce Środkowej.
🔬 Morfologia
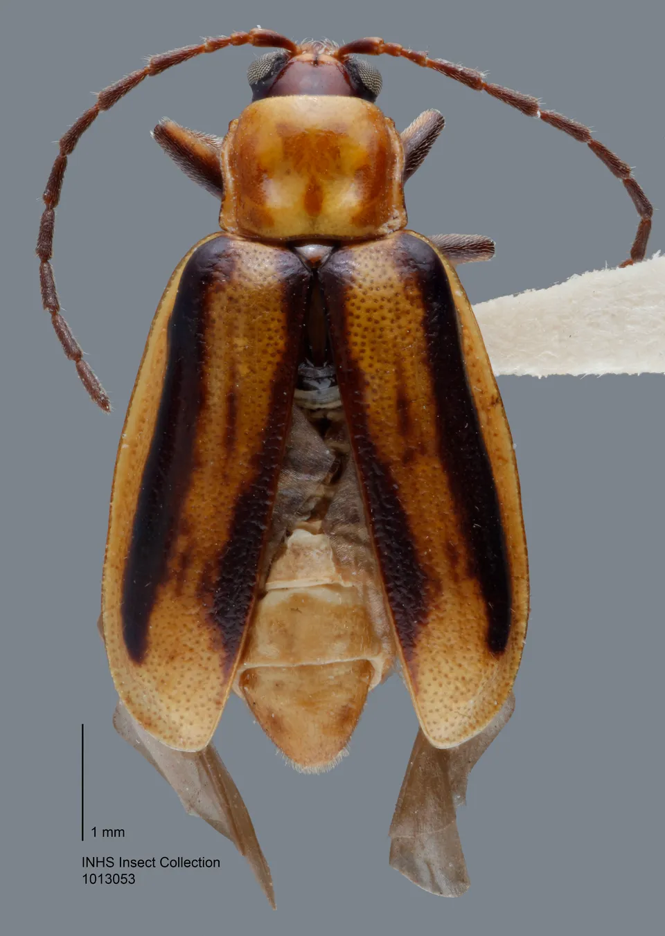
Larwy obu gatunków występujące w glebie są białe, zaopatrzone w trzy pary odnóży, o brązowej głowie i tarczce analnej na końcu ciała, o długości 10-18 mm. Dorosłe chrząszcze D. barberi osiągają długość 4,8-5,6 mm, szerokość 2,0-2,5 mm. Głowa żółta, przedplecze zielone lub żółte, kwadratowe, pokrywy zielone lub zielono-żółte, pasy na pokrywach nieobecne lub bardzo słabo wybarwione. Odwłok żółty, oliwkowy lub zielony. Dorosłe chrząszcze D. virgifera zeae osiągają długość 4,2-6,8 mm, przy czym samice nieco większe od samców. Na głowie nitkowate czułki, dłuższe u samców. W odróżnieniu od notowanego w Polsce podgatunku D. virgifera virgifera, gdzie pokrywy są z czarnymi pasami, u D. virgifera zeae pokrywy są całkowicie jasne lub z wąskim, smolistym pasem biegnącym ku tyłowi od kątów barkowych, a owady w większości są zielone.
🔄 Sposoby rozprzestrzeniania
Osobniki dorosłe mogą rozprzestrzeniać się poprzez przeloty oraz z prądami powietrza. Na większy dystans mogą rozprzestrzeniać się z kolbami kukurydzy do konsumpcji, zieloną kukurydzą na paszę, glebą i podłożem. Dorosłe chrząszcze mogą być przypadkowo przeniesione wraz z przesyłkami nasion i ziarna kukurydzy oraz na opakowaniach i środkach transportu.
📋 Status fitosanitarny
W Unii Europejskiej, a tym samym w Polsce gatunki Diabrotica barberi i D. virgifera zeae podlegają obowiązkowi zwalczania – są to agrofagi kwarantannowe w Unii.
🔬 Morfologia
Chrząszcz dorosły: długość 4,6–5,9 mm. Pokrywy zielone z czarnymi pasami wzdłużnymi (vittae). Charakterystyczna cecha: „dwukolorowe uda z ciemnym, kasztanowym lub smolisto czarnym zewnętrznym brzegiem”.
Larwa: dojrzała kremowobiała, 12–19 mm. Głowa i zakończenie odwłoka ciemnobrązowe. Świeżo wylęgła półprzezroczysta i bezbarwna, 2–3 mm.
Jajo: owalne, początkowo jasnożółte, przed wylęgiem brązowe (0,6 × 0,35 mm). Chorion z charakterystycznymi wielokątami pierwotnymi widocznymi pod skaningowym mikroskopem elektronowym.
🔄 Cykl życiowy
Gatunek jednowylotowy (univoltinny) – jedno pokolenie rocznie.
Składanie jaj: od lipca do września, zazwyczaj w górnych 15 cm gleby u podstawy roślin kukurydzy.
Diapauza: jaja zimują w glebie przez 8–10 miesięcy.
Rozwój larwalny: przez 3 stadia larwalne.
Szczyt wylotu chrząszczy: lipiec.
🌿 Rośliny żywicielskie
Główny żywiciel: kukurydza (Zea mays) – obligatoryjny żywiciel dla larw.
Żywiciele alternatywni: larwy mogą przeżyć na 20 gatunkach traw nie będących kukurydzą, ale rozwój jest znacznie gorszy.
Dorosłe: żerują na znamionach kukurydzy, pyłku, liściach; mogą odżywiać się pyłkiem wielu roślin.
⚠️ Objawy i szkody
Szkody korzeniowe (larwy):
- „Gęsia szyja” – rośliny wygięte przy powierzchni gleby
- Wyleganie – rośliny przechylone pod znacznym kątem
- Ogryzione i uszkodzone korzenie podporowe
Szkody od dorosłych:
- Obgryzanie znamion podczas kwitnienia („silk clipping”) – zaburza zapylenie, redukuje zawiązywanie ziaren
- Żerowanie na liściach
Straty plonu: 10–40% w nieopryskiwanych uprawach.
💰 Straty ekonomiczne
W Ameryce Północnej koszty zwalczania i straty plonów sięgają do 1 miliarda USD rocznie.
Uznawana za jednego z najważniejszych szkodników kukurydzy na świecie.
Problem oporności: masowe wprowadzenie kukurydzy transgenicznej Bt doprowadziło do wykształcenia przez szkodnika oporności na białka Cry3 – poważne wyzwanie dla zarządzania.
🌍 Historia inwazji
Pierwotne występowanie: opisana po raz pierwszy z Kansas (USA) w 1867 r.
Ekspansja w Ameryce Północnej: dramatyczne rozprzestrzenienie po 1940 r. wraz z ekspansją uprawy kukurydzy.
Introdukcja do Europy:
- Między 1979 a 1984 r., prawdopodobnie przez transatlantycki transport lotniczy
- 1992: pierwsze oficjalne wykrycie w Serbii
- Następnie rozprzestrzenienie w całej Europie Środkowej i Wschodniej
- Obecnie obecna w większości krajów uprawiających kukurydzę w Europie
🛡️ Metody zwalczania
Płodozmian: najskuteczniejsza metoda – przerwanie monokultur kukurydzy. Larwy nie rozwijają się dobrze na innych uprawach.
Zwalczanie chemiczne:
- Opryski insektycydami na chrząszcze
- Zabiegi doglebowe przeciwko larwom
- Zaprawy nasienne
Kukurydza Bt: transgeniczne odmiany z genami Cry3 – skuteczne, ale narastająca oporność wymaga strategii zarządzania opornością (refugia).
Zwalczanie biologiczne: nicienie entomopatogenne, w badaniach.
🔍 Metody wykrywania i monitoringu
Pułapki feromonowe: przyciągają samce, używane do monitoringu terminów i nasilenia.
Żółte pułapki lepowe: wykrywają obydwie płcie.
Inspekcja wizualna: identyfikacja uszkodzonych roślin (gęsia szyja, wyleganie).
Identyfikacja: morfologiczna według kluczy entomologicznych lub molekularna.
